Veröffentlichungen

Widmung von Straßen, Wegen und Plätzen der Stadt Münzenberg für den öffentilichen Verkehr-An den Sportanlagen/Stt. Gambach

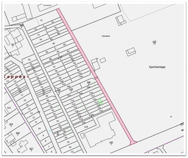
Die Stadtverordnetenversammlung der Stadt Münzenberg hat in ihrer Sitzung am 28.01.2026 gemäß § 4 Hessisches Straßengesetz in der Fassung vom 08.06.2003, zuletzt geändert durch Artikel 9 des Gesetzes vom 16. Dezember 2025, die Widmung der in der beigefügten Anlage 1 genannten Straße „An den Sportanlagen“ als Ortsstraße beschlossen.
 
Beschränkung der Widmung: keine
 
Beginn und Ende der Anlage
Die Anlage verläuft über die Gesamtstrecke des Straßenflurstücks 142. Sie beginnt im Norden unterhalb der Johanniter Grundschule und endet im Süden an der Einmündung der Butzbacher Straße (L3053).
 
Wirksamkeit der Widmung
Die öffentliche Bekanntmachung ist mit Ablauf des Bereitstellungstages auf der städtischen Internetseite www.muenzenberg.de mit einem Hinweis in dem städtischen Informationsblatt (Amtsblatt) Butzbacher Zeitung vollendet. Die Widmung tritt am Tage nach Vollendung der Bekanntmachung in Kraft.
 
Rechtsbehelfsbelehrung
Gegen diese Widmungsverfügung kann innerhalb eines Monats nach öffentlicher Bekanntmachung Widerspruch erhoben werden. Der Widerspruch ist schriftlich oder zur Niederschrift beim Magistrat der Stadt Münzenberg, Hauptstraße 22, 35516 Münzenberg einzulegen.
 
Münzenberg, den 29.01.2026
Der Magistrat der Stadt Münzenberg
Dr. Isabell Tammer, Bürgermeisterin

Zurück